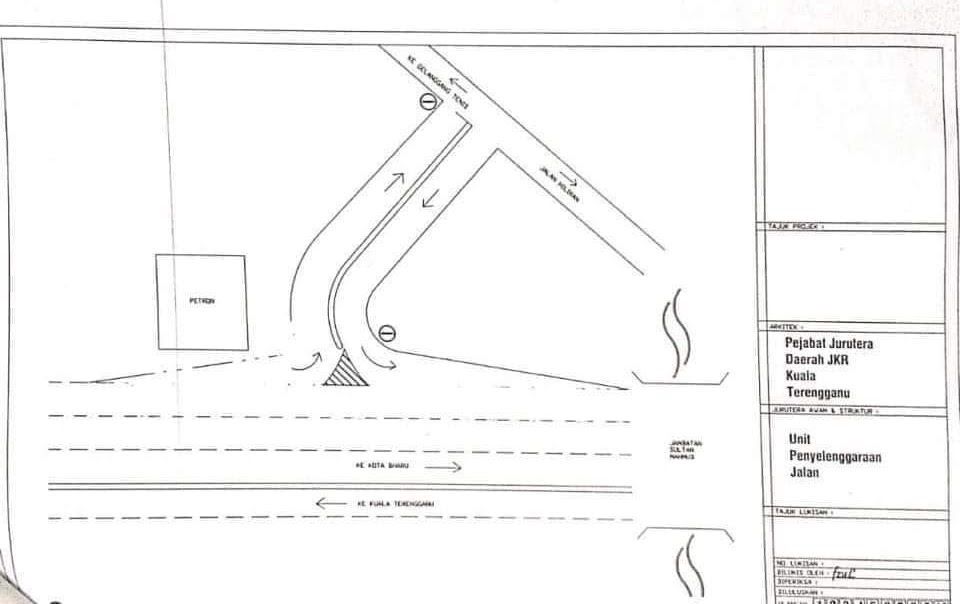
KUALA TERENGGANU, 28 Februari - Jalan sehala menghala ke Jambatan Sultan Mahmud, Kuala Terengganu ditukar menjadi dua hala bermula hari ini.
Jabatan Kerja Raya (JKR) Daerah Kuala Terengganu dalam satu kenyataan memberitahu, penukaran aliran lalu lintas sehala kepada dua hala yang dibuat pihaknya akan melibatkan semua pengguna.
Selain itu, papan tanda lalu lintas akan dipasang di tapak jalan berkenaan sebagai panduan orang ramai.
![]() |
| Peta aliran lalulintas yang diubah. |
Perubahan itu dibuat untuk memberi lebih kemudahan dan keselesaan kepada semua pengguna jalan raya.
Menurut kenyataan itu juga, pengguna diharapkan agar mematuhi tanda arah dan papan tanda untuk melancarkan aliran trafik.
Pengguna juga boleh menghubungi Pejabat JKR Daerah Kuala Terengganu di talian 09-6687000, faks 09-6227111 untuk sebarang pertanyaan dan aduan.
Pengguna juga boleh menghubungi Pejabat JKR Daerah Kuala Terengganu di talian 09-6687000, faks 09-6227111 untuk sebarang pertanyaan dan aduan.
Tag :

